L'immobilier par les DOM pour les DOM

Espace pro

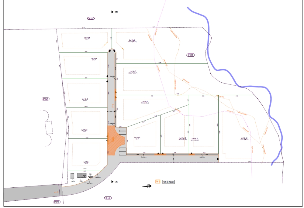
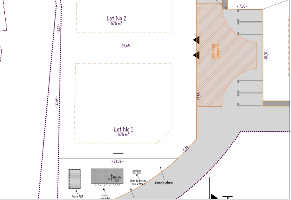
- BAIE-MAHAULT lotissement résidentiel de 12 parcelles, « Les Jardins de Tivoli »,

Annonce - Réf : 1150- lot 1

12
191 718 €
Vente Terrain 97122
- BAIE-MAHAULT   lotissement résidentiel de 12 parcelles, « Les Jardins de Tivoli »,
- BAIE-MAHAULT   lotissement résidentiel de 12 parcelles, « Les Jardins de Tivoli »,
- BAIE-MAHAULT   lotissement résidentiel de 12 parcelles, « Les Jardins de Tivoli »,
- BAIE-MAHAULT   lotissement résidentiel de 12 parcelles, « Les Jardins de Tivoli »,
- BAIE-MAHAULT   lotissement résidentiel de 12 parcelles, « Les Jardins de Tivoli »,
- BAIE-MAHAULT   lotissement résidentiel de 12 parcelles, « Les Jardins de Tivoli »,
- BAIE-MAHAULT   lotissement résidentiel de 12 parcelles, « Les Jardins de Tivoli »,
- BAIE-MAHAULT   lotissement résidentiel de 12 parcelles, « Les Jardins de Tivoli »,
- BAIE-MAHAULT   lotissement résidentiel de 12 parcelles, « Les Jardins de Tivoli »,
- BAIE-MAHAULT   lotissement résidentiel de 12 parcelles, « Les Jardins de Tivoli »,
- BAIE-MAHAULT   lotissement résidentiel de 12 parcelles, « Les Jardins de Tivoli »,
Honoraires : à la charge du vendeur
Descriptif
  • 575 m2

  • Terrain : 575 m2

BAIE-MAHAULT OPPORTUNITÉ RARE
Au cœur du lotissement résidentiel recherché « Les Jardins de Tivoli », composé de seulement 12 parcelles, découvrez cette belle parcelle constructible de 575 m2.Lot 1
Située dans un environnement calme et résidentiel, à proximité immédiate du quartier Convenance et à seulement 15 minutes de Jarry, cette parcelle offre un emplacement idéal pour concrétiser votre projet de résidence principale.
Un cadre de vie privilégié, alliant tranquillité et accessibilité.
Pour plus d’informations ou organiser une visite, contactez SPRIMTOUR, agence de Baie-Mahault Moudong Sud, au 05 90 38 98.
Vue : Campagne
Vue : Campagne
Les informations sur les risques auxquels ce bien est exposé sont disponibles sur le site Géorisques : www.georisques.gouv.fr

SPRIMTOUR

Immeuble Entre deux mers - Zac de Moudong - Jarry 97122 Baie Mahault
Afficher le numéro
SPRIMTOUR est basée à Jarry, à Bouillante et à Rivière-Sens, soit au cœur du principal poumon économique de la Guadeloupe, mais aussi sur le sud Ba...
En savoir plus sur cette agence
SPRIMTOUR est basée à Jarry, à Bouillante et à Rivière-Sens, soit au cœur du principal poumon économique de la Guadeloupe, mais aussi sur le sud Basse Terre et la Côte sous le vent ; afin d’offrir à la clientèle des conditions d’accueil optimales, ainsi que des réponses adaptées à ses besoins et attentes. Depuis des décennies, choisir l’agence immobilière SPRIMTOUR revient à opter de manière durable pour un réel « art de vivre » en Guadeloupe.
Réduire
Contact par Email
(champs obligatoires *)
Parlez nous de votre recherche (facultatif)
Agence SPRIMTOUR Guadeloupe

SPRIMTOUR

Afficher le numéro
Contact par Email
(champs obligatoires *)
Parlez nous de votre recherche (facultatif)
© 97immo.com - Toute reproduction textuelle ou graphique interdite