L'immobilier par les DOM pour les DOM

Espace pro

Location Terrain 3681m² Baie Mahault

Annonce - Réf : AL3556

3
14 724 € / mois
Location Terrain
Location Terrain 3681m² Baie Mahault
Location Terrain 3681m² Baie Mahault
Dépôt de garantie : 29 448,00 €
Descriptif
  • 3681 m2

  • Terrain : 3681 m2

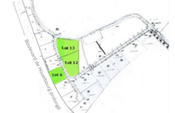
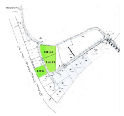
Terrain à louer, aménagements possibles par le bailleur. Sur le Boulevard de Houelbourg Prolongé ( entre voie verte et Moudong) Joëlle Idieder (EI) Agent Commercial - Numéro RSAC : - .
Les informations sur les risques auxquels ce bien est exposé sont disponibles sur le site Géorisques : www.georisques.gouv.fr

Arthur Loyd Guadeloupe

Imm Tsahal - 51 rue Becquerel - Jarry 97122 Baie Mahault
Afficher le numéro
Arthur Loyd Antilles Guyane c'est... l’engagement d’une équipe pour un conseil pertinent efficace et professionnel. A l’échelle de nos départeme...
En savoir plus sur cette agence
Arthur Loyd Antilles Guyane c'est... l’engagement d’une équipe pour un conseil pertinent efficace et professionnel. A l’échelle de nos départements : Martinique, Guyane et Guadeloupe, nous sommes leader sur le marché en immobilier d’entreprise parce que nous cherchons constamment la réponse la plus adaptée à vos projets avec pour seule objectif, respecter et honorer la confiance que vous nous accordez. C'est cet état d'esprit qui nous guide et nous rend efficace pour réaliser chaque année plus de 100 transactions en nos région des Antilles Guyane. Avec une parfaite maîtrise de l'offre disponible nous avons inévitablement des propositions à vous soumettre.
Réduire
Contact par Email
(champs obligatoires *)
Parlez nous de votre recherche (facultatif)
Agence Arthur Loyd Guadeloupe Guadeloupe

Arthur Loyd Guadeloupe

Afficher le numéro
Contact par Email
(champs obligatoires *)
Parlez nous de votre recherche (facultatif)
© 97immo.com - Toute reproduction textuelle ou graphique interdite