L'immobilier par les DOM pour les DOM

Espace pro

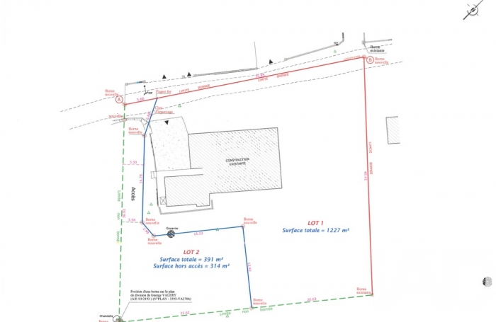
Vente Terrain 391m² Plaine des Palmistes

Annonce - Réf : 1933845

3
55 000 €
Vente Terrain 97431
Vente Terrain 391m² Plaine des Palmistes
Vente Terrain 391m² Plaine des Palmistes
Honoraires : à la charge du vendeur
Descriptif
  • 391 m2

  • Terrain : 391 m2

iad France - Valentin Légal vous propose: Valentin LEGAL, iad France vous propose un terrain rare niché au cOEur de la Plaine des Palmistes, offrant un cadre de vie privilégié entre nature et sérénité. Ici, le calme des hauts se mêle à  un environnement verdoyant, idéal pour un projet de vie ou un investissement à  fort potentiel, dans un secteur en pleine attractivité.

Ce terrain légèrement en pente développe une surface réelle d'environ 314 m² pour une surface cadastrale d'environ 391 m², avec un accès privé à  constituer. Situé à  seulement 5 minutes du Super U du premier village, il bénéficie d'un emplacement pratique tout en conservant un véritable esprit nature. Classé en zone UC selon le PLU, il permet la réalisation d'un projet de construction aussi bien pour une résidence principale que pour un investissement locatif. Une fois la construction achevée, vous profiterez d'une vue entièrement dégagée sur la chaà®ne de montagnes de la Plaine des Palmistes, un atout indéniable.

Que ce soit pour y bà¢tir votre futur lieu de vie ou pour développer un projet de location saisonnière, très recherché sur le secteur grà¢ce à  la proximité immédiate des sentiers de randonnée, ce terrain offre de belles perspectives. Contactez-moi dès maintenant pour en discuter et organiser une visite. Opportunité à  saisir rapidement.

Honoraires d'agence à  la charge du vendeur.
Bien non soumis au DPE. Les informations sur les risques auxquels ce bien est exposé, y compris l'obligation légale de débroussaillement, sont disponibles sur le site Géorisques : http://www.georisques.gouv.fr.
La présente annonce immobilière a été rédigée sous la responsabilité éditoriale de M Valentin Légal mandataire indépendant en immobilier (sans détention de fonds), agent commercial de la SAS I@D France immatriculé au RSAC de Saint-Pierre sous le numéro 948085824, titulaire de la carte de démarchage immobilier pour le compte de la société I@D France SAS.
Les informations sur les risques auxquels ce bien est exposé sont disponibles sur le site Géorisques : www.georisques.gouv.fr
Commercial en charge de cette annonce
Valentin Légal
Afficher le numéro
Lui envoyer un email

Valentin Légal

Afficher le numéro
Le plus large réseau de mandataires immobiliers au service de votre projet. Contactez le mandataire le plus proche de vous.
En savoir plus sur cette agence
Le plus large réseau de mandataires immobiliers au service de votre projet. Contactez le mandataire le plus proche de vous.
Réduire
Contact par Email
(champs obligatoires *)
Parlez nous de votre recherche (facultatif)
Agence IAD France La Réunion

Valentin Légal

Afficher le numéro
Contact par Email
(champs obligatoires *)
Parlez nous de votre recherche (facultatif)
© 97immo.com - Toute reproduction textuelle ou graphique interdite